Niebezpieczne chwasty podobne do pietruszki mogą stanowić poważne zagrożenie dla zdrowia, zwłaszcza gdy są mylone z jadalnymi roślinami. W Polsce jednym z najgroźniejszych chwastów tego typu jest blekot pospolity, znany również jako "psia pietruszka". Roślina ta, wyglądająca jak pietruszka, ma toksyczne właściwości, które mogą prowadzić do poważnych objawów zatrucia. Warto zatem nauczyć się, jak rozpoznać te niebezpieczne rośliny, aby uniknąć niebezpieczeństwa.
W artykule omówimy kluczowe cechy identyfikacyjne chwastów toksycznych, takich jak blekot pospolity i szczwół plamisty, a także podamy praktyczne wskazówki dotyczące bezpieczeństwa w ogrodzie. Zrozumienie, jak odróżnić te chwasty od bezpiecznych roślin, jest niezwykle istotne dla ochrony zdrowia.Kluczowe wnioski:
- Blekot pospolity i szczwół plamisty to najgroźniejsze chwasty podobne do pietruszki w Polsce.
- Obie rośliny zawierają toksyczne związki chemiczne, które mogą powodować poważne zatrucia.
- Kluczowe cechy identyfikacyjne to błyszczące, pierzaste liście oraz charakterystyczne kwiatostany.
- Ważne jest, aby unikać przypadkowego spożycia tych roślin i znać objawy zatrucia.
- W przypadku zatrucia należy niezwłocznie szukać pomocy medycznej.
Rozpoznawanie chwastów podobnych do pietruszki dla bezpieczeństwa
W Polsce istnieje wiele chwastów, które mogą być mylone z pietruszką, a niektóre z nich są silnie toksyczne. Kluczowe jest, aby umieć je rozpoznać, aby uniknąć niebezpieczeństwa. Cechy identyfikacyjne tych roślin obejmują ich wygląd, kształt liści oraz sposób wzrostu. Właściwe rozpoznanie chwastów podobnych do pietruszki może pomóc w ochronie zdrowia i bezpieczeństwa, zarówno w ogrodzie, jak i podczas zbierania dzikich roślin.
Chwasty takie jak blekot pospolity czy szczwół plamisty mogą wydawać się na pierwszy rzut oka podobne do pietruszki, ale różnią się istotnymi cechami. Warto zwrócić uwagę na ich kolor liści, kształt łodygi oraz układ kwiatów. Dzięki tym wskazówkom można zminimalizować ryzyko przypadkowego spożycia toksycznych roślin.
Kluczowe cechy identyfikacyjne chwastów toksycznych
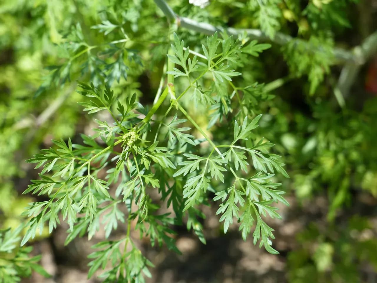
Aby skutecznie rozpoznać chwasty toksyczne, należy zwrócić uwagę na kilka kluczowych cech. Przede wszystkim, liście chwastów toksycznych często mają ciemnozielony kolor i są pierzaste, co może przypominać wygląd pietruszki. Dodatkowo, łodygi tych roślin są zazwyczaj proste i puste w środku, co może być pomocne w ich identyfikacji. Kwiaty, które mogą przypominać koper, również są istotnym elementem, na który warto zwrócić uwagę.
- Liście błyszczące i pierzaste o ciemnozielonym kolorze.
- Prosta, pusta w środku łodyga z widocznym żyłkowaniem.
- Kwiatostany przypominające koper, często w formie baldachów.
- Wzrost w miejscach wilgotnych, takich jak przydroża czy pola uprawne.
- Możliwość mylenia z jadalnymi roślinami, co zwiększa ryzyko zatrucia.
Jak odróżnić blekot pospolity od pietruszki?
Rozpoznanie różnic między blekotem pospolitym a pietruszką jest kluczowe dla zapewnienia bezpieczeństwa. Blekot pospolity (Aethusa cynapium) ma liście, które są błyszczące i pierzaste, z ciemnozielonym kolorem, ale ich kształt jest bardziej złożony niż w przypadku pietruszki. Łodyga blekotu jest prosta, pusta w środku i ma charakterystyczne żyłkowanie, co odróżnia ją od pełniejszych łodyg pietruszki. Dodatkowo, kwiatostany blekotu przypominają koper, co może wprowadzać w błąd, gdyż wyglądają podobnie do kwiatów pietruszki.
Warto zwrócić uwagę na te wizualne różnice, aby uniknąć pomyłek. Poniższa tabela przedstawia kluczowe cechy, które pomogą w identyfikacji obu roślin.
| Cechy | Blekot pospolity | Pietruszka |
|---|---|---|
| Liście | Błyszczące, pierzaste, ciemnozielone | Pierzaste, jasnozielone, mniej błyszczące |
| Łodyga | Prosta, pusta w środku, z widocznym żyłkowaniem | Pełna, mięsista, bez żyłkowania |
| Kwiatostan | Przypomina koper, biały, baldachowaty | Małe białe kwiaty w baldachach |
Szczwół plamisty - objawy i skutki zatrucia
Szczwół plamisty to jedna z najbardziej niebezpiecznych roślin, które mogą przypominać pietruszkę. Spożycie tej rośliny może prowadzić do poważnych objawów zatrucia. Osoby, które przypadkowo zjedzą szczwół plamisty, mogą doświadczać podrażnienia błon śluzowych, bólu brzucha, a także nudności i wymiotów. W cięższych przypadkach występują drgawki, zaburzenia równowagi, a nawet paraliż układu oddechowego, co może prowadzić do zgonu. Ważne jest, aby nie bagatelizować tych objawów i natychmiast szukać pomocy medycznej.Inne trujące rośliny przypominające pietruszkę
Oprócz szczwołu plamistego, istnieje wiele innych roślin, które mogą być mylone z pietruszką i są również toksyczne. Przykładem jest blekot pospolity, który zawiera silnie trujące związki chemiczne, takie jak koniina. Inne niebezpieczne rośliny to szczawik zajęczy oraz szczaw plamisty, które również mogą powodować poważne objawy zatrucia. Każda z tych roślin ma swoje unikalne właściwości, które mogą prowadzić do niebezpiecznych sytuacji, dlatego ważne jest, aby być świadomym ich obecności w otoczeniu.

Bezpieczne praktyki w ogrodzie przy chwastach
Bezpieczeństwo w ogrodzie to kluczowy element, zwłaszcza gdy chodzi o unikanie chwastów podobnych do pietruszki, które mogą być toksyczne. Warto wprowadzić kilka praktyk, które pomogą zminimalizować ryzyko przypadkowego spożycia niebezpiecznych roślin. Po pierwsze, zawsze należy nosić rękawice podczas pracy w ogrodzie, aby uniknąć kontaktu z potencjalnie trującymi roślinami. Dobrze jest również oznaczać wszystkie rośliny, które mogą być mylone z jadalnymi, aby mieć pewność, co się zbiera.
Innym istotnym krokiem jest edukacja na temat roślin występujących w okolicy. Znajomość lokalnych toksycznych roślin oraz ich cech identyfikacyjnych pomoże w uniknięciu niebezpieczeństw. Warto także regularnie przeszukiwać ogród pod kątem chwastów i usuwać je, zanim będą miały szansę na rozwój. Pamiętaj, aby zawsze mieć przy sobie przewodnik po roślinach, który pomoże w identyfikacji i unikaniu niebezpieczeństw.Jak unikać przypadkowego spożycia toksycznych roślin?
Aby zminimalizować ryzyko przypadkowego spożycia toksycznych roślin, warto stosować kilka prostych zasad. Po pierwsze, zawsze dokładnie myj ręce po pracy w ogrodzie, zwłaszcza przed jedzeniem. Po drugie, unikaj zbierania roślin w miejscach, gdzie mogą występować chwasty mylone z pietruszką, szczególnie jeśli nie masz pewności co do ich identyfikacji. Warto także nauczyć się, jak rozpoznawać rośliny, które mogą być niebezpieczne, oraz zwracać uwagę na ich wygląd. Jeśli masz wątpliwości, lepiej jest skonsultować się z ekspertem lub unikać spożywania nieznanych roślin.
Co zrobić w przypadku zatrucia - pierwsza pomoc
W przypadku podejrzenia zatrucia roślinami toksycznymi, takimi jak chwast podobny do pietruszki, ważne jest, aby działać szybko i skutecznie. Jeśli osoba podejrzewana o zatrucie wykazuje objawy, takie jak nudności, wymioty lub trudności w oddychaniu, należy natychmiast wezwać pomoc medyczną. Nie należy czekać na ustąpienie objawów, ponieważ niektóre toksyny mogą działać bardzo szybko. W międzyczasie, jeśli osoba jest przytomna, można spróbować podać jej wodę, aby pomóc w rozcieńczeniu toksyn w organizmie, ale nie wolno podawać żadnych substancji, które mogą pogorszyć sytuację, takich jak alkohol czy mleko.
Czytaj więcej: Chwast podobny do trawy: jak go rozpoznać i skutecznie zwalczyć
Jak wykorzystać wiedzę o toksycznych roślinach w edukacji ekologicznej
Znajomość toksycznych roślin oraz ich cech identyfikacyjnych może być doskonałym narzędziem w edukacji ekologicznej, szczególnie w kontekście ochrony zdrowia i środowiska. Organizowanie warsztatów lub szkoleń dla dzieci i dorosłych, które skupiają się na rozpoznawaniu chwastów podobnych do pietruszki, może pomóc w zwiększeniu świadomości na temat bezpieczeństwa w ogrodzie oraz w naturze. Uczestnicy mogą nauczyć się, jak unikać niebezpieczeństw związanych z toksycznymi roślinami, a także zrozumieć, jak ważne jest dbanie o bioróżnorodność i ochrona naturalnych siedlisk.
Dodatkowo, wprowadzenie tematu toksycznych roślin do programów szkolnych może zachęcić młodzież do aktywnego uczestnictwa w działaniach na rzecz ochrony środowiska. Uczniowie mogą prowadzić badania nad lokalnymi roślinami, tworzyć projekty dotyczące ich wpływu na zdrowie lub nawet angażować się w działania mające na celu ograniczenie rozprzestrzeniania się toksycznych chwastów. Tego rodzaju inicjatywy nie tylko zwiększają wiedzę, ale także rozwijają umiejętności krytycznego myślenia i odpowiedzialności społecznej.
